クビアカモモブトホソカミキリ
学名:Kurarua rhopalophoroides Hayashi, 1951Myしおりとは、あとでもう一度閲覧したい種の解説ページを保存し、いつでも見直すことができる機能です。このボタンを押すことで本解説ページをMyしおりページにブックマークし、Myしおりページへ移動します。
| 選定理由 | 暖地系の稀な種で雌だけで単為生殖を行うことが知られている。本州西部と九州(本県)のヤブツバキ帯から局地的に記録されている。県内からは1980年代と2005年に僅かな記録があるだけであった。生息地は平地や低山の明るい森林で,開発の影響を受けやすいため,ランクを上げた。 |
|---|---|
| 危機要因 | 土地造成 産地局限 その他 |
| 分布情報 |
飯塚市,大野城市
MAP |
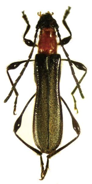
| 種の概要 | 体長8~10mm内外。体は細く,黒色で,頭のけい部と前胸背板は橙赤色,腿節は紡錘状に膨らむ。成虫は平地や低山地のシイやカナメモチ,ザイフリボクなどの花から得られている。 |
| 生息環境 |
|













