ヒコサンクビボソジョウカイ
学名:Hatchiana hikosana (Nakane & Makino, 1981)Myしおりとは、あとでもう一度閲覧したい種の解説ページを保存し、いつでも見直すことができる機能です。このボタンを押すことで本解説ページをMyしおりページにブックマークし、Myしおりページへ移動します。
| 選定理由 | 主として低山地から山地の湿気の多い発達した広葉樹林内に生息している。分布範囲が県内の一部に狭く限定され,知られている生息地も少ない。シカの食害による森林の乾燥化も本種の生育に悪影響を及ぼす可能性がある。 |
|---|---|
| 危機要因 | シカ増加 その他 |
| 分布情報 |
英彦山地,東峰村小石原
MAP |
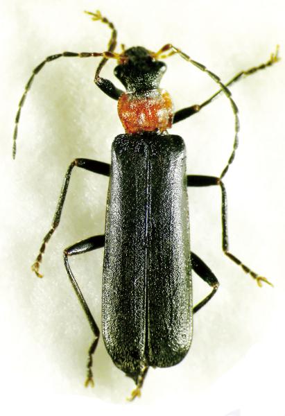
| 種の概要 | 体長8~10.8mm,体は黒色で,前胸背は鮮やかな橙黄色,触角基部,口器,脛節・跗節などは黄褐色。本種は福岡県の固有種で,英彦山地と低山地(宗像市城山,飯塚市笠置山,東峰村小石原)でみつかっている。近縁種は多良岳周辺に分布するタラクビボソジョウカイのみで古い遺存種と考えられる。 |
| 特記事項 | 前回,種小名を誤ってhikosanusと綴っていたので訂正した。 |
| 生息環境 |
|














