オオサワクビボソジョウカイ
学名:Hatchiana osawai (Nakane & Makino, 1981)Myしおりとは、あとでもう一度閲覧したい種の解説ページを保存し、いつでも見直すことができる機能です。このボタンを押すことで本解説ページをMyしおりページにブックマークし、Myしおりページへ移動します。
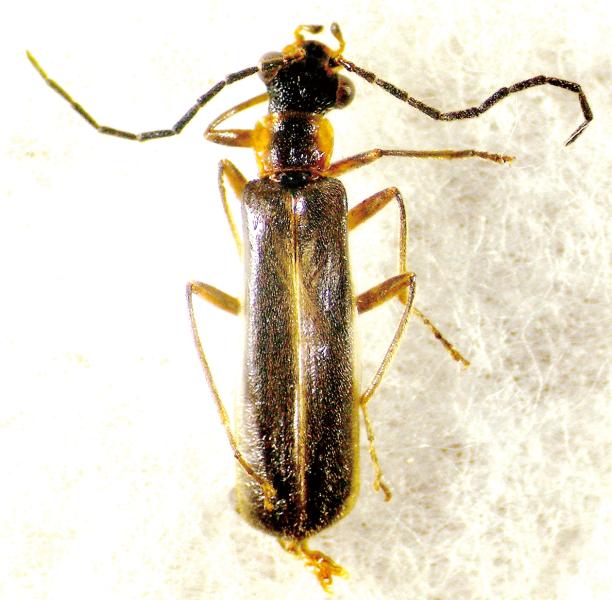
| 選定理由 | 本種は本来本州系の種で,近畿から山口県まで分布している。九州では唯一,本県の英彦山地で記録されており,本州と九州の地史やクビボソジョウカイ属の分化や分布を考える上でも重要である。英彦山では,豊前坊や深倉峡でカエデ花上などからみつかるものの,個体数は少ない。 |
|---|---|
| 危機要因 | シカ増加 その他 |
| 分布情報 |
英彦山地
|
| 種の概要 | 体長9.7~12.7mm,体は黄褐色で,頭部,前胸背中央部,触角(基部を除く)は黒色。周辺を除く上翅は薄い黒褐色。主として発達した常緑広葉樹林からブナ帯に生息し,花上・葉上で小昆虫を捕食する。本州(長野県から山口県)と九州では英彦山地に限って分布する。 |
| 生息環境 |
|













